https://www.thelandsite.co.uk/files/properties/4dd70e088de811eaba390afeec538f48/1175-69244c93f402e235415134.jpeg

Freehold Land For Sale at Auction in Lewes, BN8

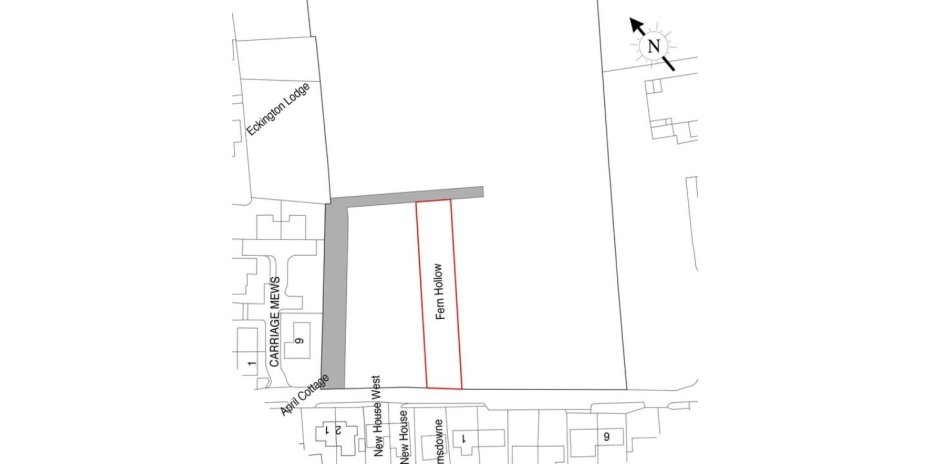
Fern Hollow, Church Lane, Ripe, Lewes, East Sussex, BN8 6AU
For sale
£15,000 Guide Price
connect-uk-auctions
This property is marketed by:
Connect UK Auctions

KEY FEATURES

  • Auction Date: Wednesday 17th December
  •  Circa 0.25 Acres / 1,012 Square Metres / 10,890 Square Feet
  •  Vacant Possession
  •  Road Frontage
  •  Freehold
  •  Excellent Location
  •  Vehicle Access / Right of Way off Church Lane
  •  Future potential for various development, subject to all necessary consents
  •  Purchasers considering further development potential are deemed to rely on their own enquiries
  •  For enquiries, please speak with Sam Spreadbury

DESCRIPTION:

Fern Hollow, Church Lane. Circa 0.25 Acres, Freehold Land in an Excellent Location with Road Frontage. Future potential for various development, subject to all necessary consents. Prospective purchasers must rely solely on their own enquiries.

ACCOMMODATION:

Circa 0.25 Acres / 1,012 Square Metres / 10,890 Square Feet

Dimensions Circa 75 Metres x 15 Metres

Vehicle Access / Right of Way off Church Lane

what3words: ///sigh.rainbow.bypasses

https://w3w.co/sigh.rainbow.bypasses

LOCATION:

Ripe is a charming village nestled in the heart of East Sussex, England. Surrounded by rolling hills and open fields, it captures the essence of the Sussex countryside. Known for its picturesque scenery, Ripe attracts visitors seeking the tranquillity and beauty of rural England. The village is also rich in history, featuring several notable buildings such as a 12th-century church and a 16th-century manor house.

TENURE:

Freehold.

AUCTION DATE:

Connect Realtime® Bidding commences at 12pm with closing bids at 1pm, Wednesday 17th December.

The Lot is for sale via Traditional Auction. This is a timed auction, which requires both parties to complete the transaction within the completion date as per the auction legal pack. The buyer, is required to register, with Connect UK Land Auctions, in order to participate and will be required to go through, identification verification process. The auction Legal Pack, is available by request. You are required to complete your own due diligence prior to bidding. The Lot is subject to an undisclosed Reserve Price. The Reserve Price and Starting Bid being subject to change.

UNCONDITIONAL LOT:

Auction Fees apply, upon the fall of the gavel, as per the auction legal pack. The purchaser is legally bound to buy and the vendor is legally bound to sell the Property/Lot. The auction conditions require a full legal completion 28 or 42 days following the day of auction (unless otherwise stated in the legal pack). Delayed completion available, please request further details if required.



Find Professionals in your search area

Contact us via [email protected]